The Evolution of the Eaton Centre: A Window into Toronto’s Past Through Historic Surveys
In need of some retail therapy? The Eaton Centre is one of Canada's largest and one of Toronto’s most iconic landmarks, sprawling across several city blocks, it embodies the city’s diverse culture and active urban landscape. Before the bright lights and the long hallways, this land was part of a quieter Toronto, divided into small parcels of land. Historical surveys provide a unique insight into the transformation of this land and highlight the importance of preserving these records.
The Land Before the Eaton Centre
In 1830, the land that would one day hold the Eaton Centre existed as divided lots, as shown in this survey from 1830 completed by Speight VanNostrand. Streets like Yonge and Queen, now home to major retail brands and urban foot traffic, were then modest intersections. These early surveys reveal a web of ownership and partition details. For instance, the partition deed from 1830 divides parts of the land between various individuals, reflecting the land ownership of the area and limited commercial use.

These early survey records are so much more than just maps; they offer a historical narrative of Toronto’s early urban structure and land use. For surveyors and historians alike, they are invaluable resources that enable us to visualize Toronto’s foundational layout and understand how spaces were utilized long before the rise of retail giants.
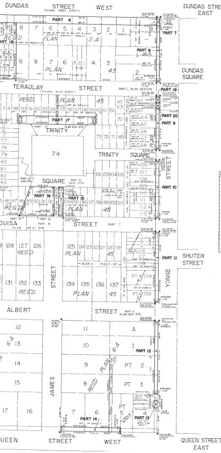
The Original Eaton’s: Timothy Eaton’s Vision in 1934
Fast forward 100 years, and by 1934, this section of Yonge Street had seen some major transformations largely due to the achievements of Timothy Eaton. Eaton reinvented Canadian retail with his flagship store at Yonge and Queen, which became a landmark destination. This historical survey from 1934 depicts the original Eaton’s location, long before the establishment evolved into the renowned shopping center we know today. Eaton reinvented retail shopping by introducing catalogue sales, fixed pricing (as opposed to haggling), and department store experiences that were new concepts at the time. Eaton's grew into one of Canada's largest retail giants and a vital part of Canadian culture, providing people across the country, especially those in rural areas, with unlimited access to a wide range of goods through its catalogue that would otherwise be out of reach. For those who lived near an Eaton's store, visiting was a popular outing, with the stores offering an impressive atmosphere that made shopping feel special.

Timothy Eaton’s retail vision not only shaped the building itself but also had a large impact on the urban layout around it. The evolution from a standalone store to an extensive shopping center reflects the changing demands and growth of the city. For those studying land development, these surveys offer a fascinating glimpse into how commercial properties influence surrounding land use and shape entire districts.
Before Expansion
This 1972 survey illustrates the profound changes in land use from our 1930's land survey, with the larger lots being divided into significantly smaller lots, mostly consisting of shops and businesses. The Eatons store, located at the North West corner of Yonge and Queen, is still contained as we see Albert Street still connecting through to Yonge.
The Eaton Centre as We Know It Today
The modern-day Eaton Centre, which we recognize today, officially opened in 1977, with development continuing well into the 21st century. What began as a flagship store grew into a massive retail complex that reshaped downtown Toronto’s architectural and economic landscape. When Cadillac Fairview took on the project, its goal was to transform the downtown experience. Evolving from a historic shopping spot to a modern commercial landmark, the Eaton Centre attracts millions of visitors every year.
The Importance of Historical Surveys in Understanding Urban Evolution
The Eaton’s company went bankrupt in 1999, closing all its department stores across the country, marking the end of an era for many Canadians. The Eaton’s name lives on through the popular shopping center in downtown Toronto, however many young Canadians today would not know where the name came from or the stories behind the Eaton’s brand.
Historic land surveys reveal stories and provide insights into why things are the way they are today. Someone examining the 1934 survey above could easily identify the land once occupied by the Timothy Eaton store, piecing together the history embedded in the property.
It is essential to recognize the role that historical surveys play in preserving and understanding urban history. These surveys from 1835 and 1935 allow us to visualize Toronto’s past, understand the city’s roots, and recognize the role of landmark buildings like Eaton’s in shaping growth. Surveys are more than technical records; they are pieces of history that capture moments in time, reflecting changes in land use, property boundaries, and architectural ambitions.
